랜턴 들고 밤숲 누빈 연구원들, 멸종 위기 나무 살렸다
2026년 02월 24일(화) 19:10 가가
국립수목원, 세계 유일 진도 ‘조도만두나무’ 수분·해충 동시 규명
“맞춤형 방제로 소중한 종자 지킬 것…번식 성공 땐 가로수 활용”
“맞춤형 방제로 소중한 종자 지킬 것…번식 성공 땐 가로수 활용”
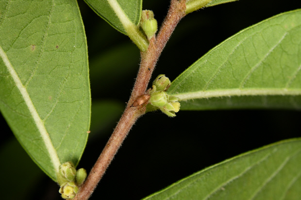
전 세계에서 유일하게 진도에서만 자라는 ‘조도만두나무’는 1983년 진도군 조도면에서 발견됐다. 이 나무는 세계 자연보전연맹 적색목록에서 ‘위급’ 단계로 분석될 만큼 보전 대책이 절실한 상황이다. 조도만두나무 해충이 종자의 70~80%를 갉아먹어 씨를 모으기 힘든 상황이었다.
최근 조도만두나무 종자를 갉아먹는 해충과 번식을 촉진시킬 수 있는 수분 매개충이 동시에 발견되면서 나무의 번식 활성화에 청신호가 켜졌다.
국립수목원 산림생물다양성연구과는 최근 조도만두나무의 수분매개충인 ‘조도만두가는나방’과 해충인 ‘담갈색조도만두바구미’를 발견했다. 두 종 모두 한국 미기록 종이다.
국립수목원 김일권 연구사는 “이번 연구는 진도군에서만 자생하는 조도만두나무의 번식을 돕는 수분 매개 과정을 확인하고 생육을 방해하는 해충의 정체를 밝혀냈다는 점에서 큰 의미를 갖는다”고 설명했다.
진도군은 수년 전부터 조도만두나무 종자를 지속적으로 수집해 양묘 사업을 진행하고 있다. 군은 화분 매개 곤충을 통해 번식이 활성화되면 향후 조도만두나무를 지역 가로수로 활용할 방침이다.
연구는 국립산림과학원이 조도만두나무 보전원 조성을 위해 국립수목원에 해충 조사 의뢰를 하며 시작됐다. 조사 의뢰를 받은 연구원들은 세 달간 2주에 한 번씩 진도에 내려가 일주일간 머물며 조도만두나무 조사를 이어갔다.
“밤공기가 가라앉으면 나무에서 미세하게 꽃향기가 나는데 그때 벌레들이 꽃 주변으로 모여들어요. 낮에는 볼 수 없고 밤에만 잠시 모습을 드러내기 때문에 랜턴을 비추며 초긴장 상태로 벌레를 찾아다녔죠. 5㎜밖에 되지 않는 작은 벌레 날개에 후레쉬 빛이 반사되는 순간 꽃 주변을 왔다갔다 하는 작은 나방과 해충 담갈색조도만두바구미를 포착했습니다.”
외국 문헌을 통해 나방의 화분 매개 가능성은 인지하고 있었으나 바구미가 직접적인 해충이라는 사실은 예상 밖의 수확이었다고 김 연구사는 회상했다.
연구팀은 채집한 종자를 정밀 해부해 내부에서 발견된 유충들의 DNA를 대조 분석했다. 그 결과 현장에서 포획한 나방 및 바구미와 유전적으로 일치한다는 사실을 최종 확인했다.
조도만두나무는 암꽃과 수꽃이 따로 피는 단성화 구조를 지닌다. 조사 결과 특이하게도 암컷 나방만이 꽃가루받이 역할을 수행하고 있었다. 나방 애벌레는 종자 1~2개를 섭취하며 성장한 뒤 성충이 돼 수분 매개와 가해를 동시에 하는 독특한 생태적 특성을 보였다. 이와 함께 바구미 애벌레 역시 어린 종자를 파먹으며 생육을 저해하고 있음이 드러났다.
큰 숙제는 해결했지만 연구는 여전히 현재진행형이다.
“종자를 훼손하는 나머지 해충들을 전수 조사하는 것이 당면한 과제예요. 바구미 외에도 가을철 이후까지 활동하는 해충들이 남아 있기 때문이죠. 조사 때마다 발견되는 종이 달라지는 만큼 올해도 추가 정밀 조사를 이어갈 계획입니다. 해충의 종류와 발생 시기별 맞춤형 방제법을 마련해 소중한 종자를 온전히 보전해야죠.”
/김다인 기자 kdi@kwangju.co.kr
국립수목원 산림생물다양성연구과는 최근 조도만두나무의 수분매개충인 ‘조도만두가는나방’과 해충인 ‘담갈색조도만두바구미’를 발견했다. 두 종 모두 한국 미기록 종이다.
![]() ![]() |
| 조도만두가는나방 <산림청 제공> |
“밤공기가 가라앉으면 나무에서 미세하게 꽃향기가 나는데 그때 벌레들이 꽃 주변으로 모여들어요. 낮에는 볼 수 없고 밤에만 잠시 모습을 드러내기 때문에 랜턴을 비추며 초긴장 상태로 벌레를 찾아다녔죠. 5㎜밖에 되지 않는 작은 벌레 날개에 후레쉬 빛이 반사되는 순간 꽃 주변을 왔다갔다 하는 작은 나방과 해충 담갈색조도만두바구미를 포착했습니다.”
![]() ![]() |
| 담갈색조도만두바구미 <산림청 제공> |
연구팀은 채집한 종자를 정밀 해부해 내부에서 발견된 유충들의 DNA를 대조 분석했다. 그 결과 현장에서 포획한 나방 및 바구미와 유전적으로 일치한다는 사실을 최종 확인했다.
조도만두나무는 암꽃과 수꽃이 따로 피는 단성화 구조를 지닌다. 조사 결과 특이하게도 암컷 나방만이 꽃가루받이 역할을 수행하고 있었다. 나방 애벌레는 종자 1~2개를 섭취하며 성장한 뒤 성충이 돼 수분 매개와 가해를 동시에 하는 독특한 생태적 특성을 보였다. 이와 함께 바구미 애벌레 역시 어린 종자를 파먹으며 생육을 저해하고 있음이 드러났다.
큰 숙제는 해결했지만 연구는 여전히 현재진행형이다.
“종자를 훼손하는 나머지 해충들을 전수 조사하는 것이 당면한 과제예요. 바구미 외에도 가을철 이후까지 활동하는 해충들이 남아 있기 때문이죠. 조사 때마다 발견되는 종이 달라지는 만큼 올해도 추가 정밀 조사를 이어갈 계획입니다. 해충의 종류와 발생 시기별 맞춤형 방제법을 마련해 소중한 종자를 온전히 보전해야죠.”
/김다인 기자 kdi@kwangju.co.kr






